Contacta

Solicitud enviada

250.000€

Escultor Montañes Ref. 950872

    Otros en venta en Alicante/alacant

    Descuento de 35.500,00 € *

    * Ya aplicado en el precio mostrado.
    Precio antes del descuento: 285.500€

    Eficiencia energéticaEn tramite

    NO COBRAMOS COMISIÓN DE INTERMEDIACIÓN AL COMPRADOR
    Excelente oportunidad de adquirir en propiedad este suelo urbano residencial con edificación existente en venta ubicado en Alicante.
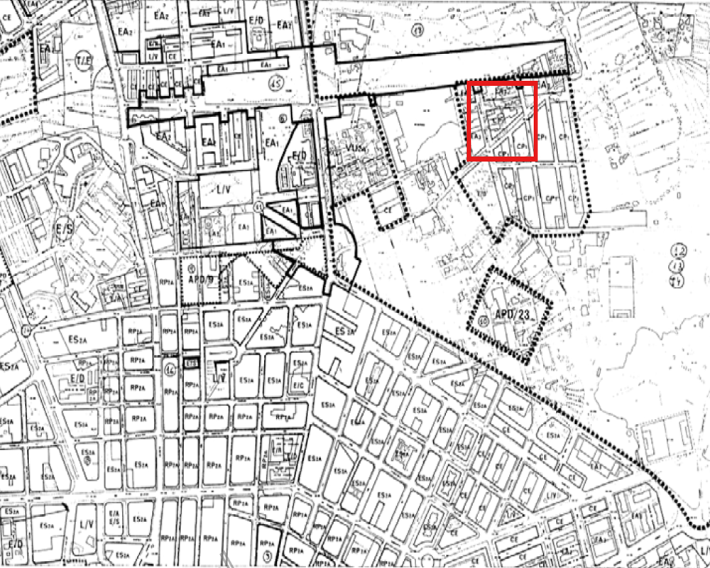
    Suelo situado en el municipio de Alicante. El suelo se halla incluido en un ámbito de gestión (Unidad de Ejecución Grabinet - Gran Vía), actualmente se encuentra sin gestionar. El suelo se encuentra sin gestionar y pendiente de Proyecto de Urbanización.
    - Densidad máxima: 86 Viv/Ha.
    - Nº máximo de viviendas: 156.
    - Aprovechamiento Tipo: 1,4832 m2t/m2s.
    - Referencia catastral: 0695309YH2409F0001KB
    La posesión de un suelo otorga al propietario facultades, deberes y cargas basadas en las leyes urbanísticas. El cumplimiento de las mismas previene de sanciones, multas y facilita el camino para ser partícipe en un nuevo plan de urbanización. En todo caso, siempre es recomendable consultar con la Administración las ordenaciones territoriales.
    El entorno está lleno de vida y movimiento, con numerosos establecimientos comerciales, bares, restaurantes y tiendas de todo tipo. Es una de las calles más antiguas y transitadas del barrio, y cuenta con una amplia oferta comercial y gastronómica.
    Alicante ofrece una amplia red de servicios médicos, con hospitales como el Hospital General y clínicas privadas de calidad. Su educación es destacada, con la Universidad de Alicante y numerosos colegios e institutos. A nivel comercial, cuenta con centros como Gran Vía y El Corte Inglés. Sus ventajas incluyen un clima agradable y turismo creciente. En conexiones terrestres, dispone de trenes AVE, autobuses y autopistas que la enlazan con toda España.

    * Los precios de los inmuebles que se muestran en la página web, así como las reservas y las ventas de viviendas publicadas, pueden variar por motivos de actualización de los mismos con los proveedores durante un plazo de 48 a 72 horas.
    La presente publicación tiene carácter meramente informativo, orientativo y no vinculante, por lo que no supone información contractual alguna, siendo su uso estrictamente comercial. Este anuncio puede contener errores, se muestra a título informativo de la información recibida, sin ser responsable la inmobiliaria de dichos errores.

    Solicitud enviada

    En breve el anunciante contactará contigo

    Escultor Montañes, Alicante/Alacant, Alicante

    Viviendas relacionadas

    Contacta con nosotros

    Los datos de carácter personal que consten en la consulta serán tratados por PROYECTIZATE EN LA NUBE, S.L. e incorporados a la actividad de tratamiento CONTACTOS, cuya finalidad es atender tus solicitudes, peticiones o consultas recibidas desde la web, mediante correo electrónico o telefónico. Dar respuesta a tu solicitud y hacer un seguimiento posterior. La legitimación del tratamiento es tu consentimiento. Tus datos no serán cedidos a terceros. Tienes derecho a acceder, rectificar y suprimir tus datos, así como otros derechos como se explica en nuestra política de privacidad: https://www.adelopd.com/privacidad/proyectizate-en-la-nube-sl

    Otros pisos en Alicante

    Otras búsquedas