Contacta

Solicitud enviada

331.000€

CARLOS PRIETO Ref. 947818

    Otros en venta en Gijón

    Eficiencia energéticaEn tramite

    NO COBRAMOS COMISIÓN DE INTERMEDIACIÓN AL COMPRADOR
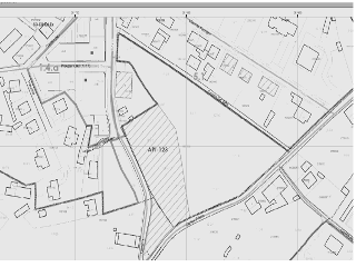
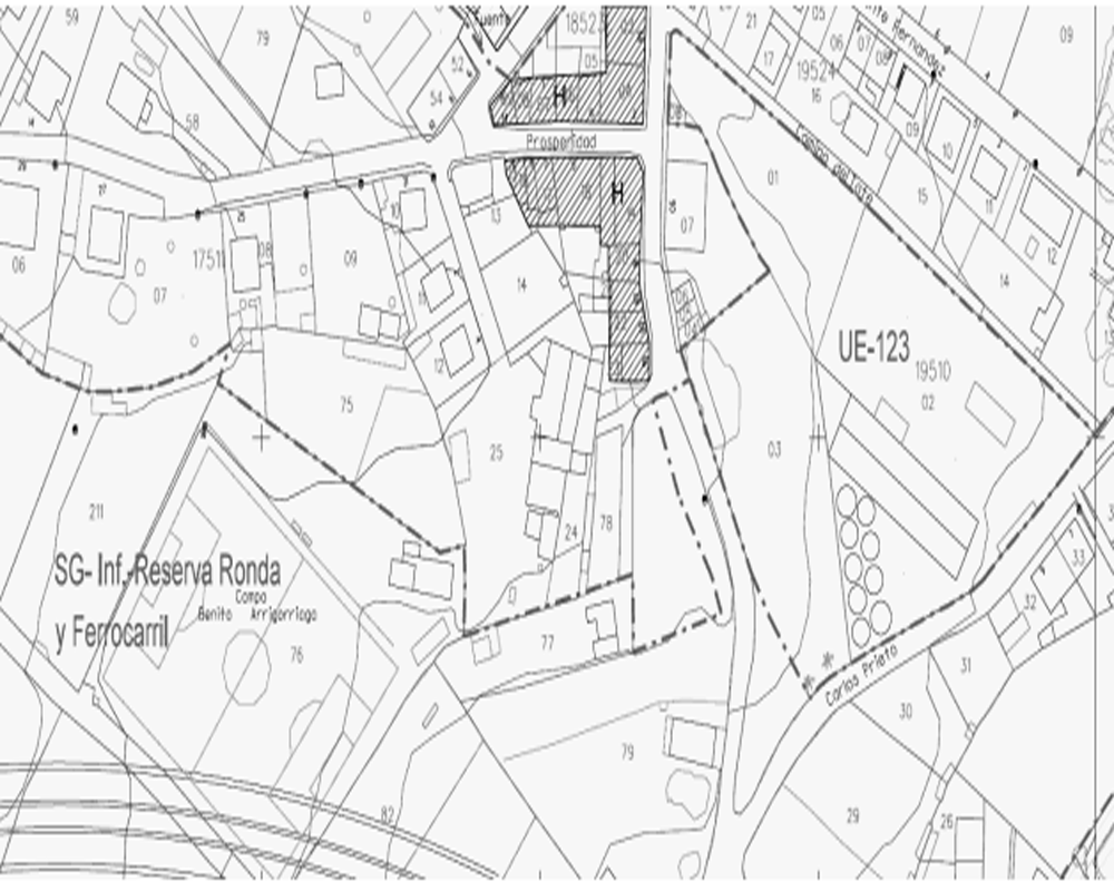
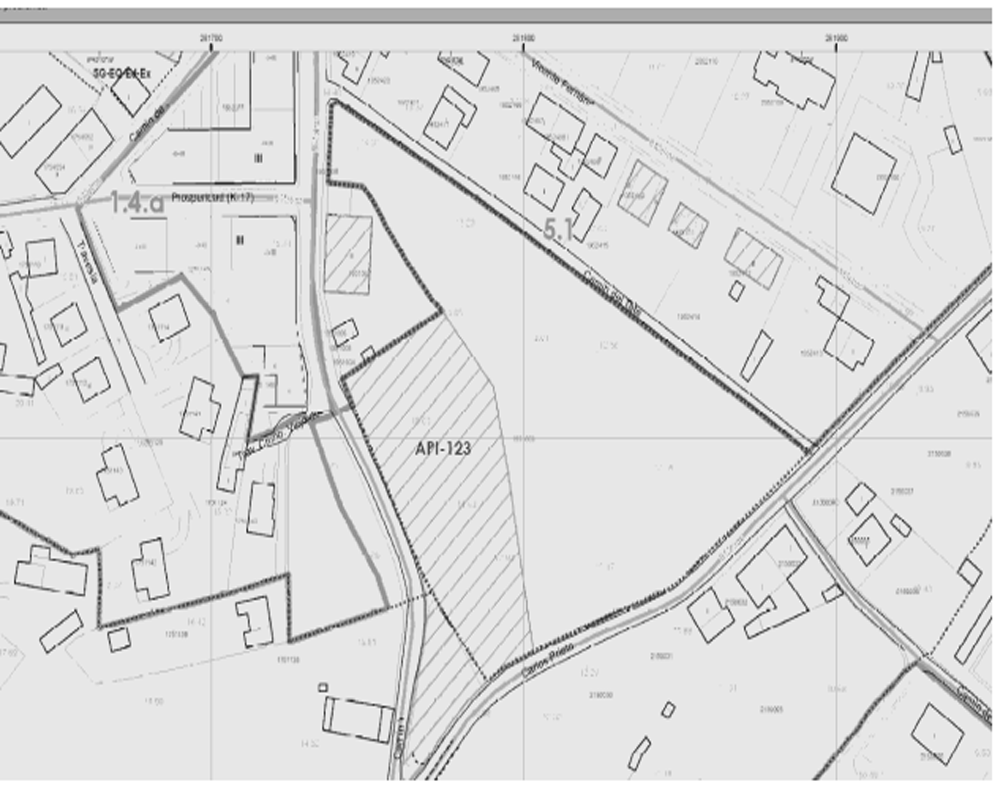
    Excelente oportunidad de adquirir en propiedad este suelo ( no consolidado) ubicado en la localidad de Gijón, provincia de Asturias. Con los siguientes datos:
    - Referencia catastral: 1951009TP8215S0001LU.
    - Promoción inmobiliaria más probable: Se estima la construcción de 9 viviendas de 205 m2 aprox. con parcelas de 1.138 m2.
    - Superficie catastral: 11.225 m2
    - Superficie de suelo adoptada: 10.245 m2 resultado de descontar la zona medida sobre plano que no es edificable 990 m2 y queda una superficie de 10.245 m2.
    - Edificabilidad: 2.045 m2 de residencial unifamiliar.
    - Descontando Cesión del 10%: 2.045 x 0,90 = 1.840,50m2
    - Se establece como hipótesis el desarrollo de un edificio en manzana cerrada de tres alturas sobre rasante, con planta baja de uso comercial y 2 plantas en altura de viviendas para 24 unidades y una planta bajo rasante para 36 plazas de aparcamiento.
    Situado en la zona Oeste de la población, se trata de zona residencial totalmente consolidada con todos los servicios( instalaciones y centros deportivos, centros educativos, comercios, etc.) y a un paso de la playa del Arbeyal y del Puerto. El centro de Gijón queda a tan sólo 3,5 km, por lo tanto su ubicación es privilegiada.
    Por lo tanto la promoción a desarrollar disfrutará de un entorno tranquilo, pero sin renunciar a todos los servicios, equipamientos y atractivos necesarios para una gran calidad de vida. Sus accesos, comunicaciones y transportes harán que tengas todo a tu alcance.
    No lo dudes, invertir en el suelo que te ofrecemos será una apuesta segura.

    * Los precios de los inmuebles que se muestran en la página web, así como las reservas y las ventas de viviendas publicadas, pueden variar por motivos de actualización de los mismos con los proveedores durante un plazo de 48 a 72 horas.
    La presente publicación tiene carácter meramente informativo, orientativo y no vinculante, por lo que no supone información contractual alguna, siendo su uso estrictamente comercial. Este anuncio puede contener errores, se muestra a título informativo de la información recibida, sin ser responsable la inmobiliaria de dichos errores.

    Solicitud enviada

    En breve el anunciante contactará contigo

    CARLOS PRIETO, Gijón, Asturias

    Viviendas relacionadas

    Gijón, Asturias
    Piso 78 m², Trastero, Garaje, Duplex

    Gijón, Asturias
    Piso 82 m², 2 hab, Trastero, Garaje, Duplex

    Contacta con nosotros

    Los datos de carácter personal que consten en la consulta serán tratados por PROYECTIZATE EN LA NUBE, S.L. e incorporados a la actividad de tratamiento CONTACTOS, cuya finalidad es atender tus solicitudes, peticiones o consultas recibidas desde la web, mediante correo electrónico o telefónico. Dar respuesta a tu solicitud y hacer un seguimiento posterior. La legitimación del tratamiento es tu consentimiento. Tus datos no serán cedidos a terceros. Tienes derecho a acceder, rectificar y suprimir tus datos, así como otros derechos como se explica en nuestra política de privacidad: https://www.adelopd.com/privacidad/proyectizate-en-la-nube-sl

    Otros pisos en Gijón

    Otras búsquedas