Contacta

Solicitud enviada

1.538.800€

FORNIAL Ref. 947516

    Otros en venta en Valdés

    Eficiencia energéticaEn tramite

    NO COBRAMOS COMISIÓN DE INTERMEDIACIÓN AL COMPRADOR
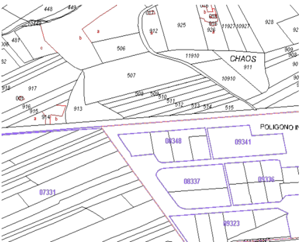
    Excelente oportunidad de inversión para promoción inmobiliaria.
    Se trata de 25 suelos Urbanizables sectorizado (SUR-R-L-01), según el PGU Luarca aprobado28/10/2015. Con los siguientes datos:
    - Referencia catastral: 9740011PJ9294S0001ZG y parcelas colindantes.
    - Superficie del ámbito: 141.268,60m2.
    - Superficie ofertada: 11.788,24m2 .
    - Edificabilidad: 17.719,15 m2.
    - Total viviendas: 167 .
    - Uso del activo: Plurifamiliar
    - Altura máxima: Bajo + 3
    Valdés es un concejo de la comunidad autónoma del Principado de Asturias cuya capital es Luarca. Limita al norte con el mar Cantábrico, al este con los concejos de Cudillero y Salas, al oeste con los concejos de Navia y Villayón y al sur con los concejos de Tineo y Salas. Cuenta con una población de 11.987 habitantes (2017).
    La parcela se encuentra perfectamente comunicada por carretera, conectando con Gijón por la A-8 a 85 kilómetros y con Oviedo a 90 kilómetros por la misma vía.
    Por lo tanto la promoción a desarrollar disfrutará de un entorno tranquilo y natural, pero sin renunciar a todos los servicios, equipamientos y atractivos necesarios para una gran calidad de vida. Sus accesos, comunicaciones y transportes harán que tengas todo a tu alcance.
    No lo dudes, invertir en el suelo que te ofrecemos será una apuesta segura.

    * Los precios de los inmuebles que se muestran en la página web, así como las reservas y las ventas de viviendas publicadas, pueden variar por motivos de actualización de los mismos con los proveedores durante un plazo de 48 a 72 horas.
    La presente publicación tiene carácter meramente informativo, orientativo y no vinculante, por lo que no supone información contractual alguna, siendo su uso estrictamente comercial. Este anuncio puede contener errores, se muestra a título informativo de la información recibida, sin ser responsable la inmobiliaria de dichos errores.

    Solicitud enviada

    En breve el anunciante contactará contigo

    FORNIAL, Valdés, Asturias

    Viviendas relacionadas

    Contacta con nosotros

    Los datos de carácter personal que consten en la consulta serán tratados por PROYECTIZATE EN LA NUBE, S.L. e incorporados a la actividad de tratamiento CONTACTOS, cuya finalidad es atender tus solicitudes, peticiones o consultas recibidas desde la web, mediante correo electrónico o telefónico. Dar respuesta a tu solicitud y hacer un seguimiento posterior. La legitimación del tratamiento es tu consentimiento. Tus datos no serán cedidos a terceros. Tienes derecho a acceder, rectificar y suprimir tus datos, así como otros derechos como se explica en nuestra política de privacidad: https://www.adelopd.com/privacidad/proyectizate-en-la-nube-sl

    Otros pisos en Valdés

    Otras búsquedas