Contacta

Solicitud enviada

557.000€

Juan Rincon Ref. 956402

    Otros en venta en Calatayud

    Eficiencia energéticaEn tramite

    NO COBRAMOS COMISIÓN DE INTERMEDIACIÓN AL COMPRADOR
    ¡Oportunidad de inversión en una de las zonas con mayor proyección urbanística de la provincia!
    Excelente oportunidad de adquirir en propiedad este suelo urbano residencial, ubicado en la localidad de Calatayud, provincia de Zaragoza. Dispone de buenos accesos y está bien comunicada.
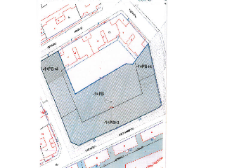
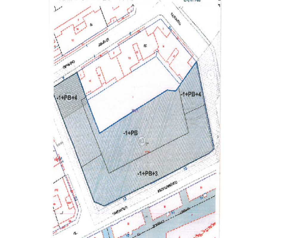
    Este suelo urbano es una parcela registral, perteneciente al «PGOU» del municipio de Calatayud.
    Planificación:
    -Uso característico: Apto para el desarrollo de un bloque de viviendas plurifamiliar.
    -Edificabilidad total: 13.929m².
    .Viviendas con anejo: 10.799m².
    .Locales comerciales: 3.131m².
    -Altura máxima 3-4 alturas (depende de la calle).
    -Construcción: 111 viviendas, con anejo (garaje y trastero), locales comerciales y garaje no adjudicados.
    -Referencia catastral: 3985907XL1738N0001RX.
    Se sitúa en la prolongación sur del centro, en una zona con edificios plurifamiliares y comercios. Está separado del centro por el río, y próximo a la estación de tren y a la conexión con la autovía a Zaragoza, en la vecindad de Estación - San Antonio, a 500 metros de la estación de tren. A 750 metros del centro del pueblo y a 85 km de Zaragoza (por autovía A-2).
    La economía se basa en agricultura, (manzana y pera), y vinos con denominación de origen propia.
    Cerca del suelo se encuentra la «Academia de Logísitica de Ejercito de Tierra» y una escuela de la UNED.
    Este suelo representa una excelente oportunidad para promotores y fondos de inversión interesados en desarrollar un proyecto de envergadura en un entorno en plena evolución, con gran atractivo natural y potencial de revalorización.

    * Los precios de los inmuebles que se muestran en la página web, así como las reservas y las ventas de viviendas publicadas, pueden variar por motivos de actualización de los mismos con los proveedores durante un plazo de 48 a 72 horas.
    La presente publicación tiene carácter meramente informativo, orientativo y no vinculante, por lo que no supone información contractual alguna, siendo su uso estrictamente comercial. Este anuncio puede contener errores, se muestra a título informativo de la información recibida, sin ser responsable la inmobiliaria de dichos errores.

    Solicitud enviada

    En breve el anunciante contactará contigo

    Juan Rincon, Calatayud, Zaragoza

    Viviendas relacionadas

    Contacta con nosotros

    Los datos de carácter personal que consten en la consulta serán tratados por PROYECTIZATE EN LA NUBE, S.L. e incorporados a la actividad de tratamiento CONTACTOS, cuya finalidad es atender tus solicitudes, peticiones o consultas recibidas desde la web, mediante correo electrónico o telefónico. Dar respuesta a tu solicitud y hacer un seguimiento posterior. La legitimación del tratamiento es tu consentimiento. Tus datos no serán cedidos a terceros. Tienes derecho a acceder, rectificar y suprimir tus datos, así como otros derechos como se explica en nuestra política de privacidad: https://www.adelopd.com/privacidad/proyectizate-en-la-nube-sl

    Otros pisos en Zaragoza

    Otras búsquedas