Contacta

Solicitud enviada

55.000€

Sc PP Ref. 914088

  • 690 m²

Otros en venta en Ávila de 690 m²

Descuento de 5.000,00 € *

* Ya aplicado en el precio mostrado.
Precio antes del descuento: 60.000€

Superficie690 m²80 €/m²
Eficiencia energéticaEn tramite

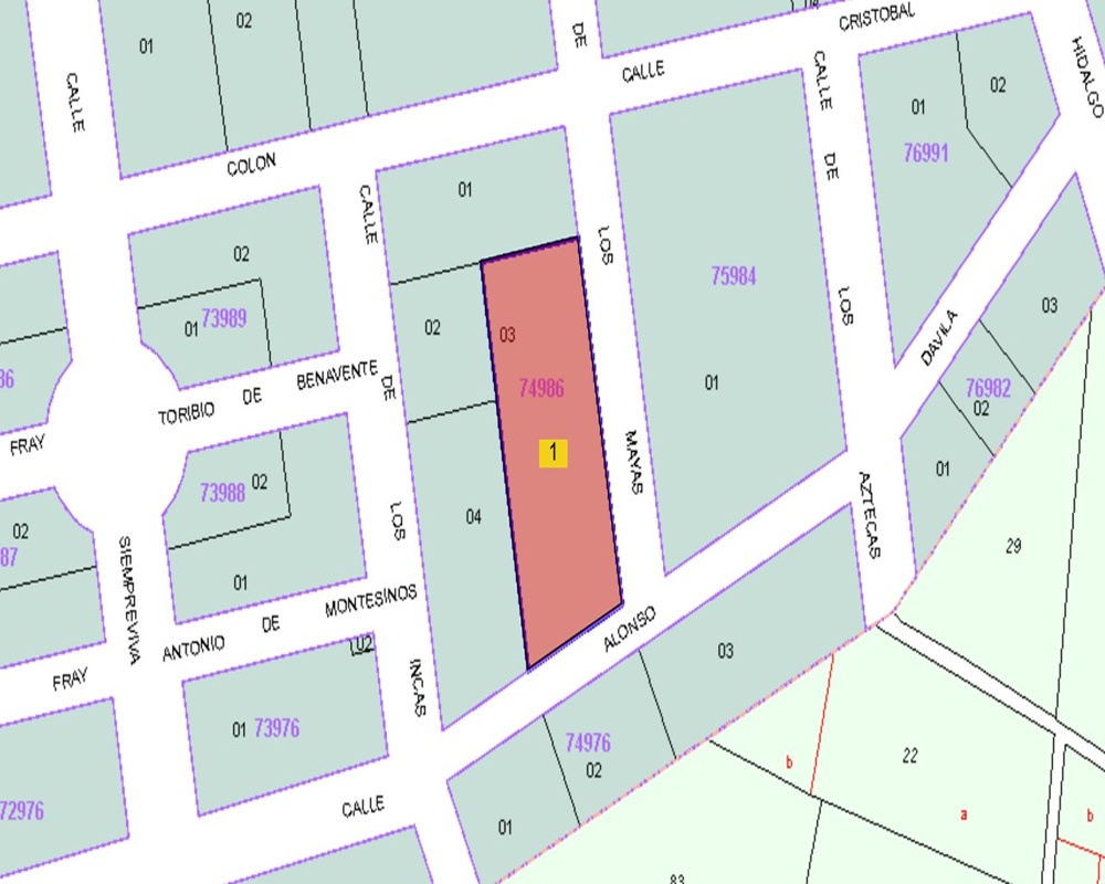
Suelo urbano en Ávila Se trata de un suelo urbano de 690 m².Tiene como uso principal el residencial y es compatible con el uso comercial. Este activo cuenta con todas las infraestructuras básicas necesarias, como alumbrado público, suministro de agua, electricidad, viales y acerado. El suelo urbano se sitúa en la zona de Bartolo, en el municipio de Ávila, en una ubicación estratégica que combina tranquilidad y accesibilidad. Dispone de buenos accesos a través de la carretera N-403 y la autovía A-51, que conecta rápidamente con otras localidades cercanas y facilita la movilidad tanto dentro como fuera de la ciudad. En cuanto a las comunicaciones públicas, la zona cuenta con varias líneas de autobuses urbanos que conectan con el centro de Ávila y otros puntos de interés. Además, la estación de tren de Ávila, que forma parte de la red de media distancia de Renfe, se encuentra a poca distancia, ofreciendo conexiones con ciudades como Madrid, Valladolid y Salamanca. En las inmediaciones del activo, se pueden encontrar diversos servicios esenciales como supermercados, restaurantes, centros educativos y oficinas bancarias. Asimismo, la zona cuenta con centros de salud y el Hospital Nuestra Señora de Sonsoles, que se encuentra a pocos minutos en coche. Para el ocio y el tiempo libre, destacan espacios como el Parque de San Antonio, ideal para disfrutar de actividades al aire libre, y el Centro Comercial El Bulevar, que ofrece una amplia variedad de tiendas, restaurantes y opciones de entretenimiento. Con nuestros servicios podrá encontrar el suelo urbano que necesita y asegurar su inversión con el mejor de los asesoramientos especializados. Empiece ahora mismo pidiendo más información. Un responsable cercano a usted le atenderá personalmente.

* Los precios de los inmuebles que se muestran en la página web, así como las reservas y las ventas de viviendas publicadas, pueden variar por motivos de actualización de los mismos con los proveedores durante un plazo de 48 a 72 horas.
La presente publicación tiene carácter meramente informativo, orientativo y no vinculante, por lo que no supone información contractual alguna, siendo su uso estrictamente comercial. Este anuncio puede contener errores, se muestra a título informativo de la información recibida, sin ser responsable la inmobiliaria de dichos errores.

Solicitud enviada

En breve el anunciante contactará contigo

Sc PP, Ávila, Avila

Viviendas relacionadas

Contacta con nosotros

Los datos de carácter personal que consten en la consulta serán tratados por PROYECTIZATE EN LA NUBE, S.L. e incorporados a la actividad de tratamiento CONTACTOS, cuya finalidad es atender tus solicitudes, peticiones o consultas recibidas desde la web, mediante correo electrónico o telefónico. Dar respuesta a tu solicitud y hacer un seguimiento posterior. La legitimación del tratamiento es tu consentimiento. Tus datos no serán cedidos a terceros. Tienes derecho a acceder, rectificar y suprimir tus datos, así como otros derechos como se explica en nuestra política de privacidad: https://www.adelopd.com/privacidad/proyectizate-en-la-nube-sl

Otros pisos en Ávila

Otras búsquedas