Contacta

Solicitud enviada

A consultar

NICARAGUA Ref. 947626

    Otros en venta en Gijón

    Eficiencia energéticaEn tramite

    NO COBRAMOS COMISIÓN DE INTERMEDIACIÓN AL COMPRADOR
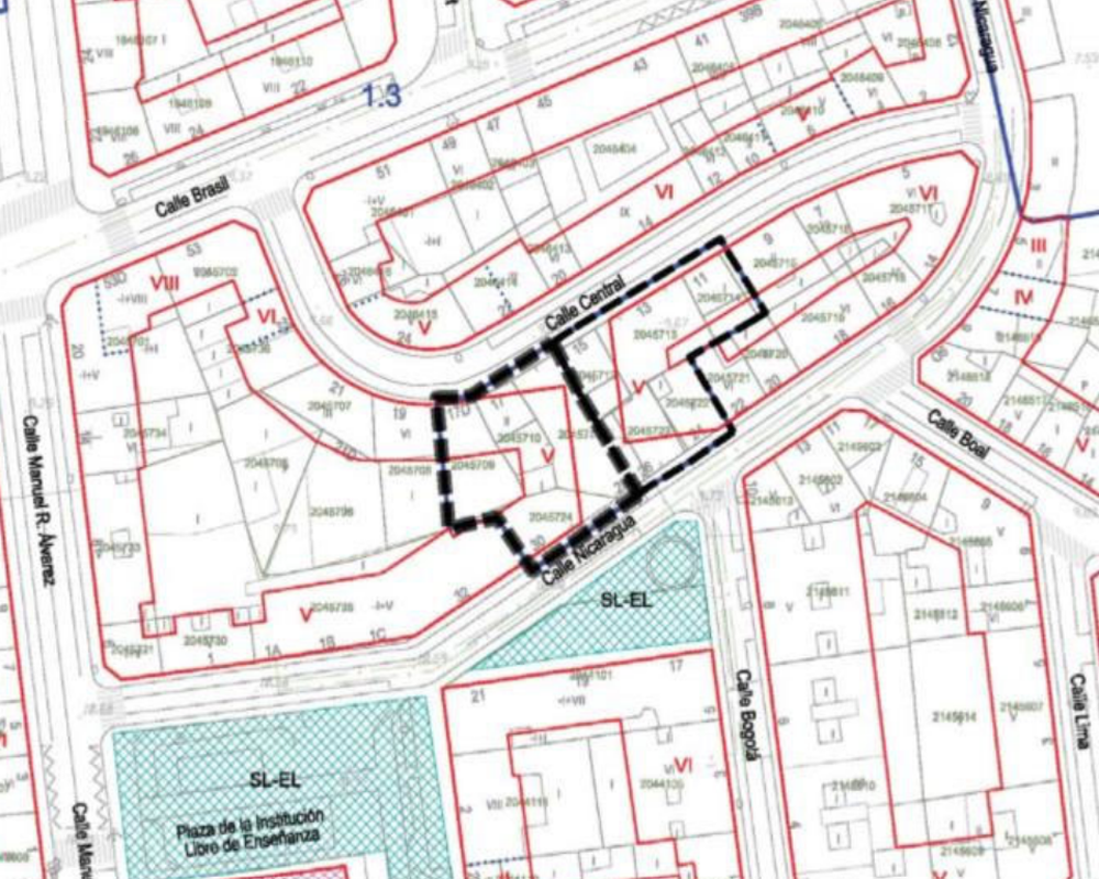
    Gran oportunidad de adquirir en propiedad este suelo urbano no consolidado en venta ubicado en la localidad de Gijón.
    Situado en inmejorable situación a escasos metros de la zona marítima y las playas de Poniente y del Arbeyal. A tan sólo 15 minutos en coche del centro de Gijón dónde disfrutar de todas las comodidades y servicios. Formado por 4 unidades registrales, con los siguientes datos:
    - Referencia catastral: 2045711TP8214N0001HT y parcelas colindantes.
    - Edificabilidad: 1511 m2c.
    - % Urbanizado: 100.
    - % Sector: 71.69.
    - % Construcción: 0.
    - Infraestructuras: pendiente.
    - Producto a desarrollar: Se considera como promoción más probable la unidad según los parámetros máximos permitidos por normativa, que consisten en viviendas entre medianeras, según alineaciones, de baja +4 alturas y planta bajo cubierta. El planeamiento marca así mismo la alineación interior por lo que la superficie del sector y la superficie ocupable en planta de la unidad se ha medido sobre el plano del planeamiento, al no venir especificadas en la ficha urbanística del plan vigente. 26 viviendas plurifamiliares en manzana cerrada de unos 80m² y 30 garajes bajo rasante.
    El vendedor es titular, únicamente, de una cuota indivisa de la propiedad del Inmueble; no es titular del 100% del pleno dominio, el resto de los propietarios tiene derecho a la adquisición preferente sobre su participación indivisa. El inmueble se transmite “a cuerpo cierto”. El precio de venta se ha ajustado para reflejar estas condiciones.

    * Los precios de los inmuebles que se muestran en la página web, así como las reservas y las ventas de viviendas publicadas, pueden variar por motivos de actualización de los mismos con los proveedores durante un plazo de 48 a 72 horas.
    La presente publicación tiene carácter meramente informativo, orientativo y no vinculante, por lo que no supone información contractual alguna, siendo su uso estrictamente comercial. Este anuncio puede contener errores, se muestra a título informativo de la información recibida, sin ser responsable la inmobiliaria de dichos errores.

    Solicitud enviada

    En breve el anunciante contactará contigo

    NICARAGUA, Gijón, Asturias

    Viviendas relacionadas

    Contacta con nosotros

    Los datos de carácter personal que consten en la consulta serán tratados por PROYECTIZATE EN LA NUBE, S.L. e incorporados a la actividad de tratamiento CONTACTOS, cuya finalidad es atender tus solicitudes, peticiones o consultas recibidas desde la web, mediante correo electrónico o telefónico. Dar respuesta a tu solicitud y hacer un seguimiento posterior. La legitimación del tratamiento es tu consentimiento. Tus datos no serán cedidos a terceros. Tienes derecho a acceder, rectificar y suprimir tus datos, así como otros derechos como se explica en nuestra política de privacidad: https://www.adelopd.com/privacidad/proyectizate-en-la-nube-sl

    Otros pisos en Gijón

    Otras búsquedas